CALL CHAT ~ EMAIL  select delivery date at checkout

0

Your Cart is Empty

Order today and you'll receive your package between Mar 16, 2026 and Mar 23, 2026. Select rush or regular delivery options at checkout

County of Orange - Public Notification Information - Notification Map - Ownership Mailing List

Select Package
Do you need provide us with more information

Order today and you'll receive your package between Mar 16, 2026 and Mar 23, 2026. Select rush or regular delivery options at checkout

Note - County of Orange requests sticker seal envelopes (not gummed) 


Product Includes: 

  • 300' Assessor Parcel Map
  • 300' Property Owner List
  • Certification of Preparation 
  • Electronic Copy
  • Receipt 

 

*Stamped envelopes can be added on to your order. We charge per address based on count. Please call (949) 771-0051, email orders@expressmapping.com or use the chat to request pricing. 

---------------------------------------------------------

This package is for applications being processed through OC Public Works, located at 601 N Ross St, Santa Ana, CA 92701

Full Description from Planning Application Submittal Requirements Checklist
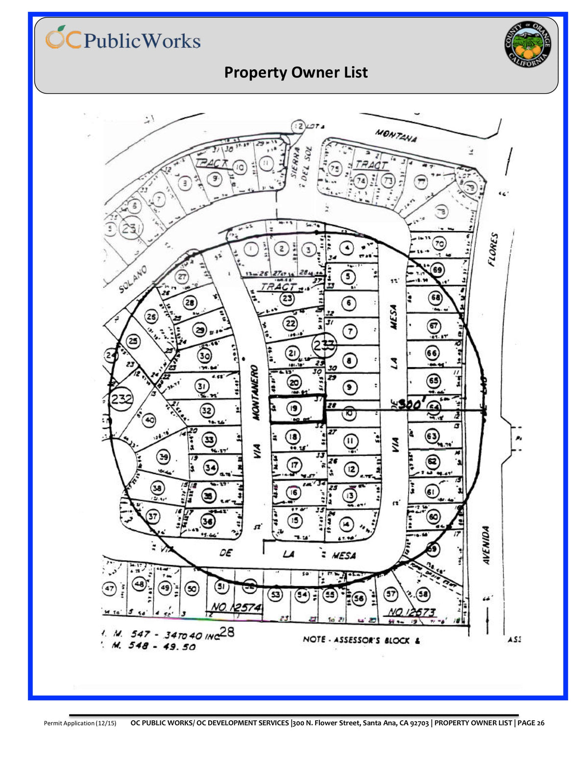
Pages: 3, 8, 9, 23, 24, 25 and 26
Package covers items in detail below, select add on options as applicable:

From Page 3:

Item 10: Public Notification Information 
Notification Map and Ownership Mailing List
Pre-Addressed, Stamped Envelopes

From Page 8: 

Item 10: Public Notification Information
When Public Meetings/Public Hearings are required for the project proposal, the applicant is to provide the information and mailing material needed to notify all the required parties (Notification Map and Mailing List Instructions - Attachment 8)

From Page 9:

Notification Map & Ownership Mailing List - Map of properties and list of property owners within 300' of the project. If project is located within the Coastal Zone, provide map and list of property occupants within 100' of the project.

Pre-Addressed and Stamped Envelopes - Provide pre-addressed and stamped 4"x 9" envelopes to be sent to everyone identified within the 300' range. If project is located within the Coastal Zone, provide pre-addressed and stamped 4"x 9" envelopes to be sent to everyone identified within the 100' range.
NOTE: select this option under +add Coastal 100' occupants

Additional Information Required:
Projects located within North Tustin Advisory Committee (NTAC) require an additional set of envelopes to be provided (Equaling a total of 2 complete sets).
NOTE: select this option under +add Tustin Advisory Committee

Page 23 - 26
Express Mapping follows the requirements listed. See product images for more detail.