Order today and you'll receive your package between Jan 04, 2026 and Jan 11, 2026. Select rush or regular delivery options at checkout
Order today and you'll receive your package between Jan 04, 2026 and Jan 11, 2026. Select rush or regular delivery options at checkout
Product Includes (distance options):
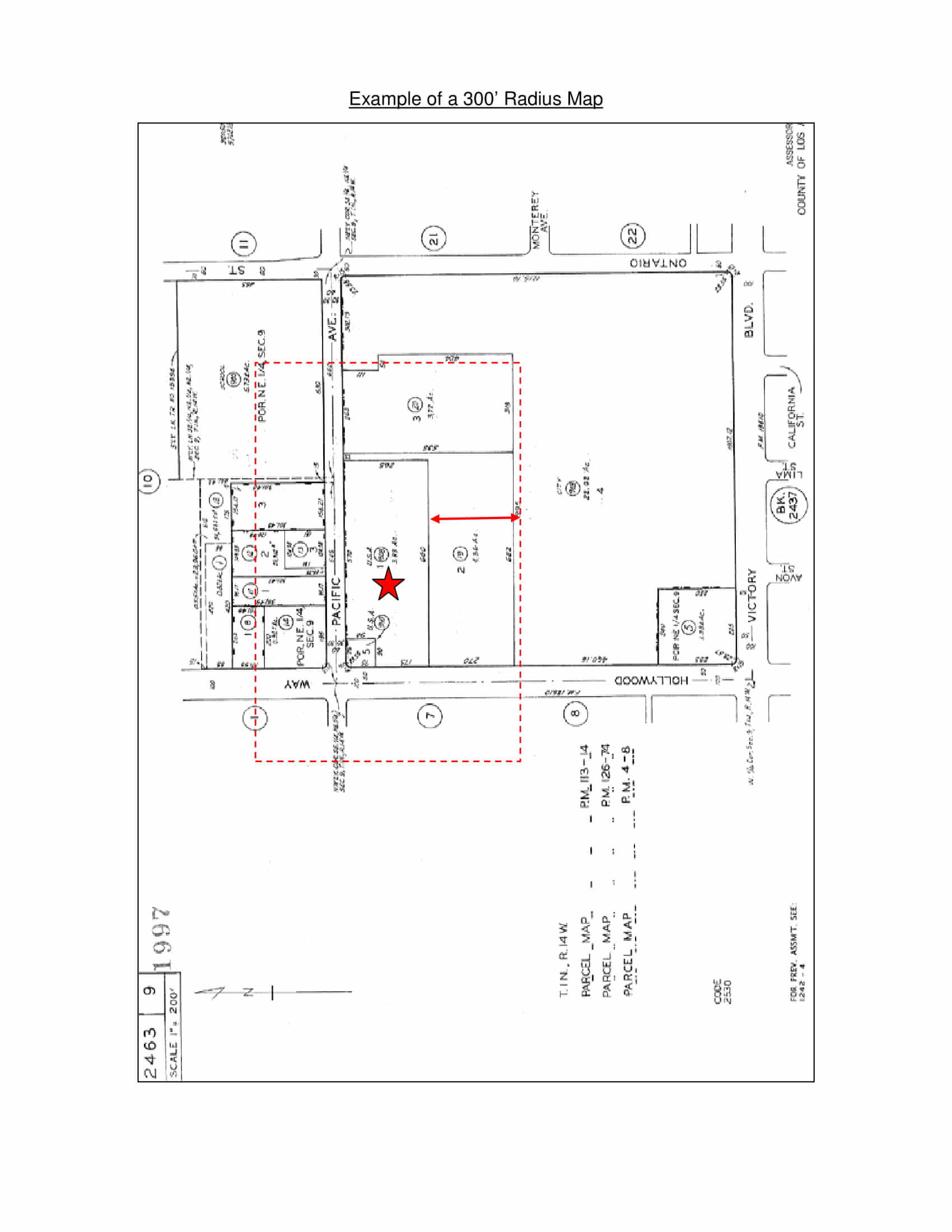
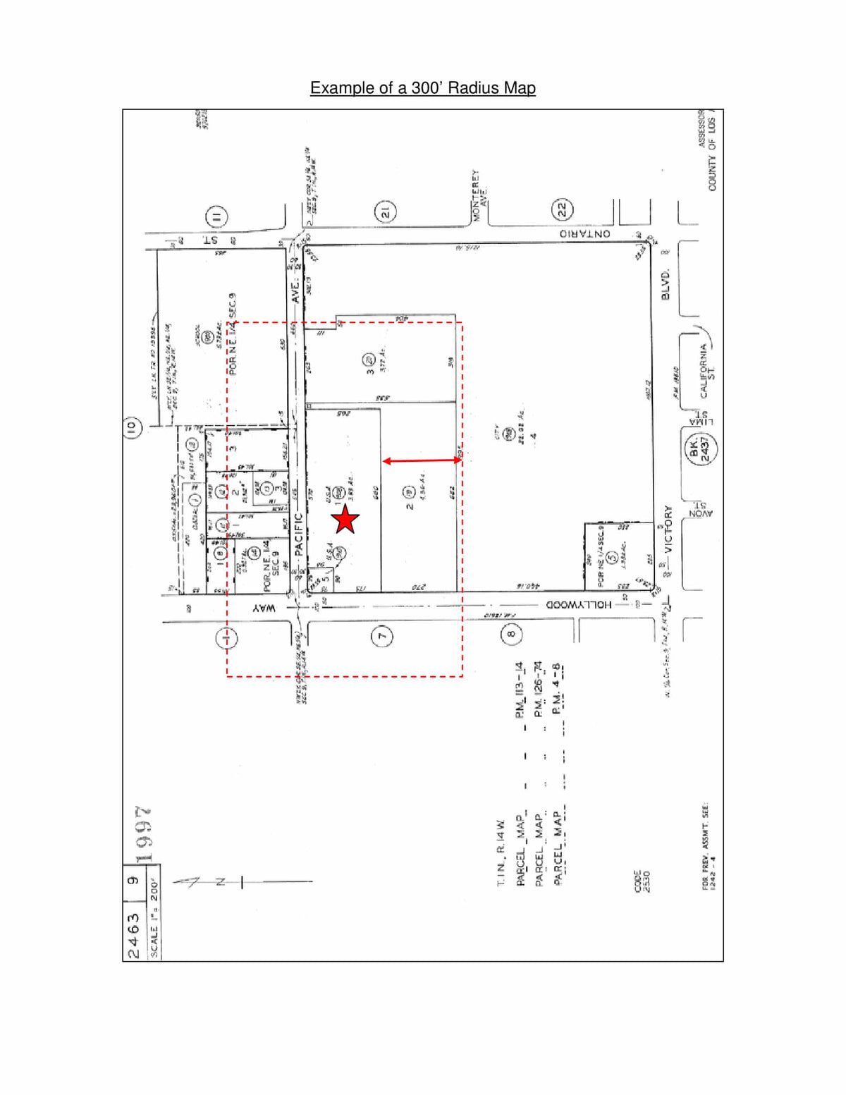
The distance requirements are located on the application forms. See images for more detailed information. If your planner provided a map of extra areas to include, please upload that document at the time of order.
-------------------------------------------------------------------
Full Description from the city package (City of Burbank)
Packaged will be formatted to follow the "Public Notice Requirements" requirements from the Planning Division Application.
Radius Map: Applicants must prepare a radius map showing all properties within the required radius distance of the project site. The radius varies by application type: 1,000 feet for Development Review, Conditional Use Permit, Variance, and other major permits; 300 feet for accessory structure or single-family permits; 150 feet for minor exceptions; and 8 blocks for Downtown Restaurant Use Permits. The map must include a north arrow, property boundaries, lot lines, and street names.
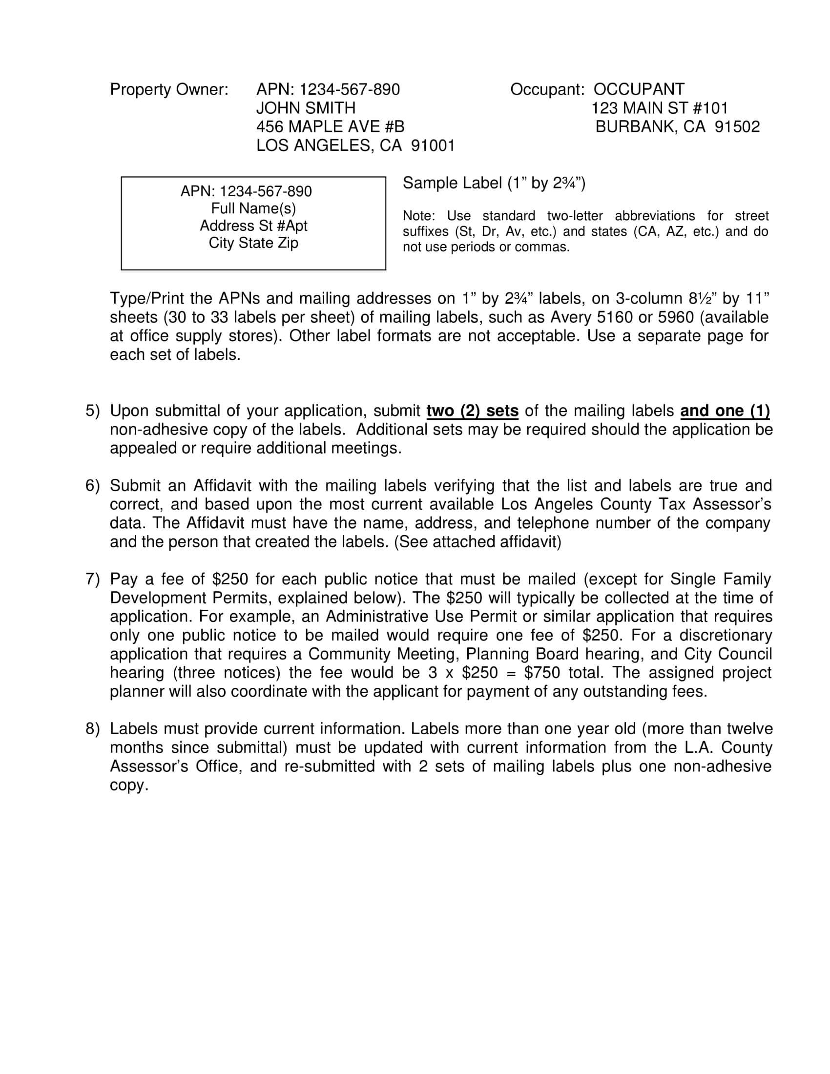
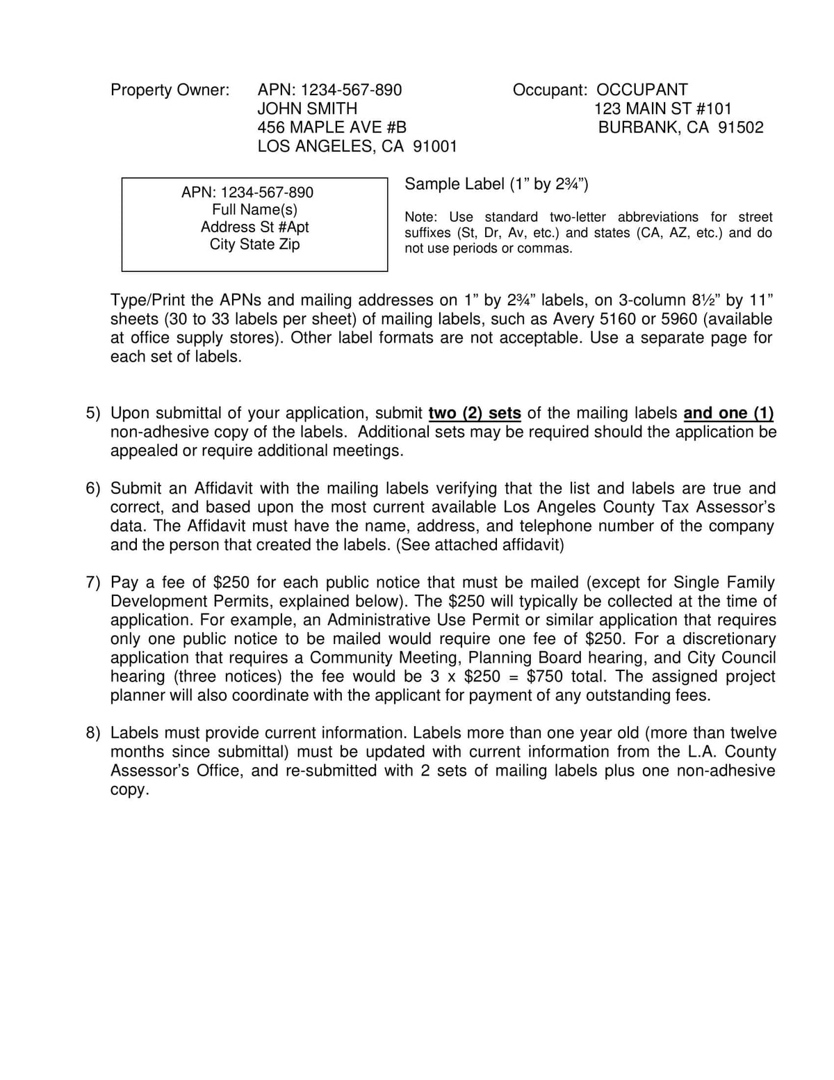
Mailing Labels: Applicants must prepare self-adhesive mailing labels for both property owners and tenants of all properties within and touching the radius line, including the subject property. Labels must include the property owner’s name, tenant name (“OCCUPANT” may be used if tenant names are unavailable), and the Assessor’s Parcel Number (APN). Labels must be typed in all capital letters without punctuation, printed on standard Avery label sheets, and submitted in two (2) complete sets plus one non-adhesive copy.
Affidavit of Accuracy: The applicant or preparer must complete and sign a notarized affidavit certifying that the mailing labels are accurate and based on the most current Los Angeles County Tax Assessor’s roll data. The affidavit must also include the name, address, and telephone number of the preparer.
See image(s) for details.